Cockroach Control Services in Mogappair
Cockroaches are more than just a nuisance—they’re a health hazard. In Mogappair, these pests thrive in warm, humid climates, invading homes and businesses alike. If you’re searching for reliable cockroach control services in Mogappair, our natural, Health-Conscious solutions offer a safe and long-term answer to your pest problems.
00 +
4.7 star reviews from satisfied clients
00 +
Years of Natural Pest Control Service Excellence
Find Our Natural Pest Control Technicians Available Near You!
Cockroach Control Services with 100% Natural Ingredients
00 +Employees
Dedicated team of employees & technicians working near you with unwavering commitment & expertise to deliver outstanding results
00 +Locations
Our expansive reach ensures a top-notch service either you are in heart of the city or at the outskirts
00 +Referrals
We pride ourselves on building strong relationships with customers. Each referral is a testament to the exceptional service delivered.
Highlights of our Natural Cockroach Control Services
Our approach prioritizes your family’s safety and the environment while delivering unmatched results:
- Health-Conscious Treatments: We use plant-based repellents and non-toxic baits that target cockroaches without harming pets or children.
- Odorless Solutions: Unlike chemical sprays, our methods leave no lingering smells, ensuring a fresh and healthy living space
- Long-Term Prevention: By combining immediate eradication with preventive strategies, we reduce the risk of reinfestation.
Have A Look We Will Make Any Place Absolutely Clean, Neat
We Will Make Absolutely Any Place Clean, Neat
Local operations team on-call 24 hours a day available to work at a moment notice top quality cleaning that meets and exceed.
Best Service & Price
Vestibulum ac diam sit amet quam vehicula elementum sed sit amet dui proin.
Visible Difference
Vestibulum ac diam sit amet quam vehicula elementum sed sit amet dui proin.
Visible Difference
Vestibulum ac diam sit amet quam vehicula elementum sed sit amet dui proin.
Visible Difference
Vestibulum ac diam sit amet quam vehicula elementum sed sit amet dui proin.
Visible Difference
Vestibulum ac diam sit amet quam vehicula elementum sed sit amet dui proin.
Visible Difference
Vestibulum ac diam sit amet quam vehicula elementum sed sit amet dui proin.
Premium Services at Affordable Charges
- Checklist
-
100% Natural Ingredients
-
Strictly Zero Harmful Chemicals
- Checklist
-
Exclusive for wooden wall fixtures
- Checklist
-
Doors & Windows frames are treated internally in a innovative way by using an apparatus
- Checklist
-
Follow Exclusive Treatment Methods for each premises
- Checklist
-
No need of vacating the premises
- Checklist
-
Upto 3 Years
- Checklist
Simple Plan For Everyone
Basic Plan
Perfect For Residential Services-
Fully Profetional Cleaner
-
Living Room Cleaning
-
Bed Room Cleaning
-
Bathroom Cleaning
-
Windows & Door Cleaning
-
Roof Cleaning
-
Kitchen Cleaning
Smart Plan
Perfect For Large & Small Company-
Fully Profetional Cleaner
-
Living Room Cleaning
-
Bed Room Cleaning
-
Bathroom Cleaning
-
Windows & Door Cleaning
-
Roof Cleaning
-
Kitchen Cleaning
Smiles & Peace All Around
Discover the Magic Behind
Our Happy Clients
Real Feedbacks from Delighted Customers
Odourless but effective pest rid medicines were used. Efficient staff who sprayed the medicine at every nook and corner of our house. Administration staff are cordial and approachable.
Mrs Susan Sam
ChennaiExcellent product, best part is it’s totally natural and no smell nor it affected our office space or timings. Excellent work!!!
Highly recommended pest control service
Mr Sanjeeth S
ChennaiEnvironment friendly pest control done by team Pest Rid Naturals. We even put AMC with them. We are fully satisfied and happy with the team's service.
Mr Kalyana Sundaram
ChennaiRecently, we contacted them for bird nesting removal and pest control in our kitchen area. Their service was very good and they handled it very professionally. The pest control spray had no chemical odour. It was very aromatic and had a natural odour.
Mrs Anisha Merlyn
ChennaiExcellent service. Liked their professionalism. Manager came with the service technician and explained about the products and services.
Mr Prabhakaran Krishnan
ChennaiFAQs
Common Queries; Clear Answers
We have different packages for natural cockroach control starting from ₹ 1,800.
Natural Cockroach control is always safe and best because the insects will not be able to form resistance against natural products.
The charges are based on the property size and the infestation’s level and nature.
Our natural cockroach control service price starts from ₹1,800.
Our basic cockroach treatment services start from ₹1,800.
Get Expert Assistance
Talk to Our Top Specialists
Best Cockroach Control Service Near Me, Mogappair
Mogappair’s mix of apartments, standalone homes, and commercial spaces creates ideal conditions for cockroaches. Our services stand out by addressing the area’s unique challenges:
– Local Expertise: We understand Mogappair’s climate, architecture, and common entry points, allowing us to customize solutions.
– Quick Response: Located in the heart of the city, we guarantee same-day inspections and rapid service for urgent infestations.
– Community Trust: Over 500+ satisfied customers in Mogappair vouch for our effectiveness and professionalism.
Simple Plan For Everyone
- Monthly
- Yearly
-
Fully Profetional Cleaner
-
1. Living Room Cleaning
-
2. Bed Room Cleaning
-
3. Bathroom Cleaning
-
Fully Profetional Cleaner
-
Windows & Door Cleaning
-
Roof Cleaning
-
Kitchen Cleaning
-
Fully Profetional Cleaner
-
1. Living Room Cleaning
-
2. Bed Room Cleaning
-
3. Bathroom Cleaning
-
Fully Profetional Cleaner
-
Windows & Door Cleaning
-
Roof Cleaning
-
Kitchen Cleaning
- Monthly
- Yearly
-
Fully Profetional Cleaner
-
1. Living Room Cleaning
-
2. Bed Room Cleaning
-
3. Bathroom Cleaning
-
Fully Profetional Cleaner
-
Windows & Door Cleaning
-
Roof Cleaning
-
Kitchen Cleaning
-
Fully Profetional Cleaner
-
1. Living Room Cleaning
-
2. Bed Room Cleaning
-
3. Bathroom Cleaning
-
Fully Profetional Cleaner
-
Windows & Door Cleaning
-
Roof Cleaning
-
Kitchen Cleaning
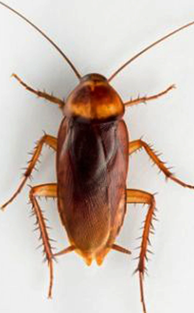
Three Common Household Cockroaches in India
American Cockroach
The largest species, identified by its reddish-brown color. Thrives in drains, sewers, and damp areas.
German Cockroach
Small, light brown, and notorious for kitchen infestations. Reproduces rapidly, making control challenging.
Oriental Cockroach
Dark brown/black, prefers cool, damp spaces like bathrooms and basements.
Destructive Habits of Cockroaches
Food Contamination
They spread bacteria like E. coli and Salmonella by crawling over surfaces and food.
Allergy Triggers
Droppings and shed skins worsen asthma and allergies, especially in children.
Pathogen Spread
Carry viruses and parasites that cause diseases like dysentery and typhoid.
Property Damage
Gnaw on books, fabrics, and electronics, leading to costly repairs.
How Do We Perform Our Cockroach Control Services in Mogappair ?
We follow the D-E-O approach in practicing our Cockroach services in Mogappair and other regions.
Determination
Our process begins with a thorough inspection to identify cockroach species, entry points, and hotspots. Using advanced tools, we assess infestation severity and tailor a plan suited to your property’s needs.
Eradication
Targeted treatments eliminate cockroaches at every life stage:
- Baits and Traps: Lure pests to ingest or carry toxins back to nests.
- Natural Sprays: Plant-based solutions disrupt pheromone trails and repel invaders.
- Exclusion Techniques: Seal cracks and crevices to block entry.
Observation
Post-treatment, we monitor activity for 4-6 weeks. Follow-up visits ensure no survivors remain, and adjustments are made for stubborn infestations.
Have A Look We Will Make Any Place Absolutely Clean, Neat
Cockroach Control Prevention Methods
Seal Entry Points
Use caulk to close gaps around pipes, doors, and windows.
Maintain Cleanliness
Store food in airtight containers, fix leaks, and dispose of trash regularly.
Regular Inspections
Schedule bi-annual checks to catch early signs of activity.


